Local Service Overview

Get Red Ant Extermination in Wylie, TX

Red Ant Extermination services for property owners in Wylie, TX, and nearby areas typically address pest infestations, including ants, termites, roaches, and rodents, through comprehensive treatment and prevention projects.

Wylie, TX

Red ant extermination services are essential for property owners in Wylie, TX who want to maintain a safe and comfortable living environment. Ant infestations can cause frustration, damage to structures, and potential health concerns, making professional removal a practical solution. Experienced service providers use targeted methods to eliminate colonies efficiently, reducing the risk of future invasions and helping properties stay functional and pest-free.

Choosing expert ant extermination can also enhance curb appeal by preventing unsightly mounds and trails around the property. Additionally, regular treatments contribute to increased durability of landscaping and structures by minimizing pest-related damage. Property owners often seek these services to reduce ongoing maintenance needs and ensure their homes and outdoor spaces remain inviting and safe for family and guests.

Get Red Ant Extermination Quotes

  • Red ant extermination services are recommended when infestations threaten homes or properties in Wylie, TX and surrounding areas. Professional exterminators can address persistent ant colonies in yards, gardens, or indoor spaces. Services are suitable for situations where ants have become a nuisance or pose a health concern. Local pest control providers can implement targeted treatments to eliminate red ant populations effectively. Contacting experienced professionals is advised for ongoing or severe ant problems in the region.

Get Red Ant Extermination Quotes

Red Ant Extermination
Red Ant Extermination
Red Ant Extermination

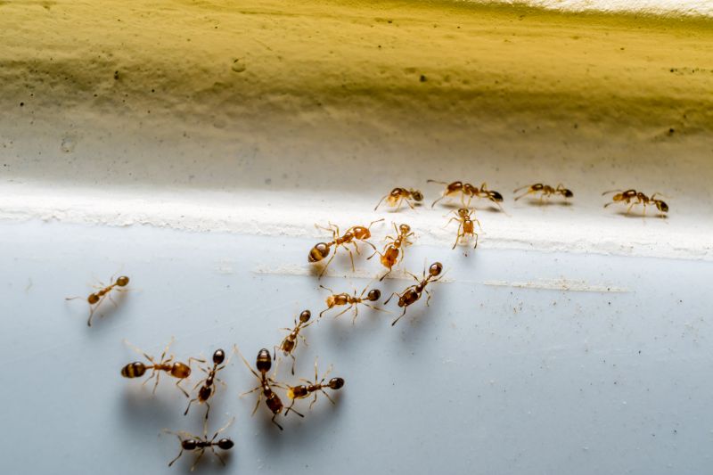
Red ant extermination services are designed to eliminate invasive red ants from residential and commercial properties. These services typically involve thorough inspections to identify ant colonies and nesting sites, followed by targeted treatment methods to eradicate the pests. Treatments may include the application of bait, insecticides, or other pest control products that effectively reduce ant populations and prevent future infestations. The goal is to create a barrier that stops red ants from establishing colonies and invading indoor or outdoor spaces.

Red ants can pose significant problems for property owners, especially when their nests are located near foundations, gardens, or outdoor living areas. Their aggressive behavior and large colonies can lead to persistent infestations that are difficult to control with DIY methods. Additionally, red ants can damage plants, contaminate food sources, and cause discomfort or minor bites to residents and visitors. Professional extermination services help address these issues by removing existing colonies and implementing preventative measures to reduce the risk of recurring problems.

Properties that commonly utilize red ant extermination services include single-family homes, apartment complexes, and commercial buildings. Residential properties often seek treatment for ant invasions in kitchens, gardens, or patios, especially during warmer months when ants are most active. Commercial properties such as restaurants, grocery stores, or food processing facilities also require pest control to maintain hygiene standards and prevent disruptions caused by ant infestations. Landscaping and outdoor recreational areas are additional locations where red ant control may be necessary to ensure safety and comfort.

Engaging with local pest control providers for red ant extermination offers tailored solutions suited to specific property needs. These professionals assess the extent of the infestation, recommend appropriate treatment options, and implement strategies to eliminate red ants effectively. Regular inspections and maintenance services can also help monitor for potential re-infestations, ensuring properties remain ant-free. Contacting experienced local providers can be a practical step toward managing and preventing red ant problems efficiently.

The overview below groups typical Red Ant Extermination projects into broad ranges so you can see how smaller, mid-sized, and larger jobs often compare in Wylie, TX.

In many markets, a large share of routine jobs stays in the lower and middle ranges, while only a smaller percentage of projects moves into the highest bands when the work is more complex or site conditions are harder than average.

Initial Inspection and Treatment - The cost for an initial pest inspection and treatment typically ranges from $150 to $300, depending on property size and infestation severity. For example, a standard home in Wylie, TX, might fall within this range.

Monthly or Quarterly Service Plans - Ongoing service plans for red ant control usually cost between $50 and $100 per visit. These plans often include regular treatments to prevent future infestations.

Per Acre or Per Structure Pricing - For large properties or commercial spaces, costs may be calculated per acre or per building, with prices ranging from $200 to $600 based on size and complexity.

One-Time Spot Treatments - Spot treatments for localized ant problems typically cost between $75 and $200, depending on the extent of the infestation and treatment area.

Actual totals will depend on details like access to the work area, the scope of the project, and the materials selected, so use these as general starting points rather than exact figures.

Get a Red Ant Extermination Quote

Ant Extermination - Local pest control providers offer targeted treatments to eliminate red ants and prevent future infestations around residential and commercial properties.

Carpenter Ant Control - Service providers utilize specialized methods to identify and remove carpenter ants, helping to protect structures from damage.

Fire Ant Removal - Local exterminators provide solutions to control fire ant populations, reducing the risk of painful stings and colony growth.

Pavement Ant Treatment - Experts in the area deliver treatments to eradicate pavement ants that invade outdoor spaces and structures.

Sugar Ant Control - Service providers implement strategies to eliminate sugar ants, which are common household pests attracted to food sources.

Wood Ant Management - Local pest control specialists offer methods to manage wood ant populations that may threaten wooden structures or landscaping.

Red Ant Extermination

Red ant extermination services require experienced professionals who understand the behavior and habitats of these pests. When comparing local options, it’s important to consider how long a contractor has been providing ant control solutions in the Wylie, TX area or nearby communities. An experienced service provider typically has a deeper knowledge of effective treatment methods and can address unique property challenges. Additionally, reputable local pros often have a history of successful interventions, which can be verified through references or reviews from previous clients.

Clear communication of written expectations is essential when selecting a pest control provider. Homeowners should seek out local pros who provide detailed service descriptions, including the scope of work, treatment procedures, and follow-up processes. Transparent communication helps ensure that property owners understand what to expect and can make informed decisions. Reputable service providers often outline their procedures in written form, which can serve as a reference and help prevent misunderstandings.

References from other homeowners or property managers in the area can offer valuable insights into a contractor’s reliability and quality of work. When evaluating local options, it’s beneficial to ask for reputable references or check online reviews to gauge customer satisfaction. Good communication is also reflected in responsiveness and professionalism during initial inquiries. While the information below introduces local pros for red ant extermination, it is important to contact these providers directly to confirm their experience, clarify expectations, and review references before making a selection.

Get a Red Ant Extermination Quote

Property owners in Wylie, TX use Red Ant Extermination services for practical projects around their homes and businesses. The sections below highlight everyday jobs and straightforward project options.

Red Ant Extermination
Red Ant Extermination

Red ant extermination services are commonly sought by property owners in Wylie, TX, dealing with persistent ant infestations. These pests can invade homes and businesses, especially during warmer months, creating nuisances and potential health concerns. Local service providers offer targeted treatments to eliminate red ants and prevent future invasions, helping property owners restore comfort and safety.

Many property owners turn to local professionals when experiencing recurring ant issues or noticing increased ant activity around their properties. Red ants can damage landscaping, invade indoor spaces, and become a source of frustration. Experts in the area provide inspection and treatment options tailored to the specific needs of Wylie residents, aiming to control the problem effectively.

Get a Red Ant Extermination Quote

How do I know if I have a red ant problem? Signs of a red ant infestation include visible ant trails, mounds in the yard, and ants entering indoor spaces. Contact local extermination services for an assessment.

What methods do exterminators use to eliminate red ants? Professionals typically use targeted baits, barriers, and residual treatments to control red ant populations effectively.

Are red ant treatments safe for children and pets? Exterminators use treatments that are generally safe when applied properly, but it's recommended to follow safety guidelines provided by the service provider.

How long does a red ant extermination treatment usually last? The effectiveness of treatments can vary, but many services offer ongoing monitoring or follow-up options to ensure long-term control.

Can red ants return after treatment? While treatments are designed to eliminate existing colonies, red ants can reappear if new colonies are established nearby. Regular inspections may help prevent re-infestation.

Red Ant Extermination Services - Local pest control providers can assess infested areas and recommend effective treatment options for red ant problems.

Red Ant Extermination Solutions - Experienced contractors utilize targeted methods to eliminate red ant colonies and prevent future infestations.

Red Ant Control Options - Service providers offer customized plans to address red ant issues in residential and commercial properties.

Red Ant Removal Assistance - Contact local experts to discuss treatment strategies and schedule inspections for red ant infestations.

Red Ant Extermination

Considering Red Ant Extermination for a property in Wylie, TX? The sections above highlight common project types, practical options, and details that often shape the scope of work.

When you are ready, use the quote form to share a few details about your project. Local pros can review the basics and respond with options that match what you have in mind.

Get a Red Ant Extermination Quote

Red Ant Extermination Quotes

Our Trusted Partners
Cantu Pest Control
Orkin
Hawx Pest Control
Mosquito Shield