Local Service Overview

Get Ants Extermination Service in Roanoke, TX

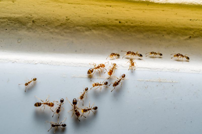
Ants extermination services for property owners in Roanoke, TX, and nearby areas address ant infestations, prevent future invasions, and handle residential and commercial pest control projects.

Roanoke, TX

Ants extermination services in Roanoke, TX are essential for property owners seeking to maintain a comfortable and functional living or working environment. Ant infestations can disrupt daily routines, compromise hygiene, and cause property damage if left unaddressed. Professional extermination helps eliminate these pests efficiently, reducing the risk of recurring issues and minimizing the need for frequent maintenance. This service enhances curb appeal by preventing unsightly ant trails and nests, contributing to a well-maintained appearance of the property.

Choosing expert ant extermination also offers practical benefits such as increased safety and durability of structures. By controlling ant populations, property owners can prevent potential damage to foundations, electrical wiring, and woodwork, which can lead to costly repairs. Additionally, effective pest control creates a safer space for residents and visitors, reducing concerns about pest-related health issues. Overall, professional services provide peace of mind through thorough and reliable pest management tailored to the specific needs of properties in Roanoke, TX.

Get Ants Extermination Service Quotes

  • Ants Infestation Removal - when ants invade kitchens, pantries, or living areas in Roanoke, TX and surrounding communities.
  • Ant Control Treatments - for residential or commercial properties experiencing persistent ant activity.
  • Ant Barrier Services - to prevent future ant invasions around homes and structures in nearby areas.
  • Ant Nest Elimination - when ant colonies are located outdoors or inside walls, requiring targeted removal.
  • Preventive Ant Exclusion - to protect properties from recurring ant problems through professional sealing and barriers.

Get Ants Extermination Service Quotes

Ants Extermination Service
Ants Extermination Service
Ants Extermination Service

Ants extermination services involve the identification and elimination of ant infestations within residential, commercial, or industrial properties. Professional pest control providers typically conduct thorough inspections to determine the species of ants and assess the extent of the problem. Once the source and entry points are identified, treatments may include targeted application of insecticides, baiting strategies, and exclusion methods to prevent future invasions. These services are designed to address the root causes of ant problems and help restore a pest-free environment.

Ant infestations can cause a range of issues, from minor nuisances to significant property damage. For example, certain ant species can contaminate food supplies, while others may damage structures by nesting within walls or foundations. In some cases, ants can also attract other pests or create unsanitary conditions, especially in kitchens and food storage areas. Professional extermination services help resolve these problems by removing active colonies and implementing preventative measures to reduce the likelihood of future invasions.

Properties that typically utilize ant extermination services include single-family homes, apartment complexes, restaurants, and retail stores. Residential properties often seek help when ants are seen in kitchens, bathrooms, or around outdoor living spaces. Commercial properties, especially food service establishments, require prompt and effective pest control to maintain hygiene standards and comply with health regulations. Additionally, warehouses and manufacturing facilities may also engage pest control providers to protect stored goods and equipment from ant activity.

Engaging with local pest control professionals for ant extermination services can provide tailored solutions based on the specific property type and infestation severity. These experts usually employ a combination of inspection, treatment, and exclusion techniques to manage ant populations effectively. Contacting a local provider ensures access to experienced service providers capable of addressing ant problems in various property settings, helping to maintain a clean and pest-free environment.

The overview below groups typical Ants Extermination Service projects into broad ranges so you can see how smaller, mid-sized, and larger jobs often compare in Roanoke, TX.

In many markets, a large share of routine jobs stays in the lower and middle ranges, while only a smaller percentage of projects moves into the highest bands when the work is more complex or site conditions are harder than average.

Initial Inspection - The cost for an ant inspection typically ranges from $50 to $150, depending on the property size and extent of the infestation. Some providers may charge a flat fee or include it with treatment services.

Perimeter Treatment - Treating the exterior perimeter of a home generally costs between $100 and $300. Larger properties or severe infestations may increase the price, with typical charges around $200.

Interior Treatment - Interior ant extermination services usually fall within the $75 to $250 range. The price varies based on the number of rooms and the level of infestation inside the property.

Follow-up Visits - Follow-up treatments or inspections often cost between $50 and $150 per visit. These visits ensure that ant activity is fully controlled and can be part of ongoing service plans.

Actual totals will depend on details like access to the work area, the scope of the project, and the materials selected, so use these as general starting points rather than exact figures.

Get an Ants Extermination Service Quote

Ants Extermination services involve professional providers who identify ant infestations and implement targeted removal strategies to eliminate colonies effectively.

Residential Ants Control focuses on protecting homes by eradicating ants from kitchens, basements, and other common indoor areas through proven treatment methods.

Commercial Ants Removal services address ant issues in business settings, ensuring minimal disruption while maintaining a pest-free environment for customers and employees.

Outdoor Ants Treatment involves treating yards, gardens, and surrounding landscapes to prevent ant colonies from invading indoor spaces.

Emergency Ant Control services provide swift response options for urgent ant infestations that require immediate attention to prevent further spread.

Ant Prevention Solutions include advice and treatments to reduce the likelihood of future ant invasions and maintain a pest-free property over time.

Ants Extermination Service

When comparing local pros for ant extermination services, experience is a key factor to consider. Homeowners should look for providers with a proven track record in handling ant infestations similar to their own. Established local companies often have extensive knowledge of common ant species in the Roanoke, TX area and have developed effective treatment methods over time. Gathering information about a contractor’s background can help ensure that the chosen professional has the practical expertise needed to address specific pest issues efficiently.

Clear communication and well-defined expectations are essential when selecting a pest control provider. Reputable local service providers typically offer detailed descriptions of their services, including the scope of work, treatment procedures, and any necessary follow-up. Homeowners should seek professionals who are transparent about what to expect during and after treatment, and who are willing to answer questions thoroughly. This clarity helps foster a smooth working relationship and ensures that all parties are aligned on the services provided.

References and reputation can provide valuable insights into a local pest control provider’s reliability. Homeowners are encouraged to ask for references or read reviews from previous clients in the Roanoke, TX area. A well-regarded provider will often have positive feedback highlighting their professionalism, effectiveness, and customer service. Additionally, consistent communication and responsiveness from a service provider can indicate their dedication to client satisfaction. Connecting with local pros through a neutral lead-generation platform can help homeowners find reputable options tailored to their specific ant extermination needs.

Get an Ants Extermination Service Quote

Property owners in Roanoke, TX use Ants Extermination Service services for practical projects around their homes and businesses. The sections below highlight everyday jobs and straightforward project options.

Ants Extermination Service
Ants Extermination Service

Ants extermination services are commonly sought by property owners in Roanoke, TX when they notice an ant infestation around their homes or businesses. Common situations include discovering trails of ants in kitchens, bathrooms, or other areas where food and water sources are accessible. Property owners may also seek professional help after noticing increased ant activity or evidence of nests within walls, lawns, or foundation cracks. These services help address the immediate problem and prevent future invasions, ensuring a pest-free environment.

Many property owners look for ant extermination services to resolve recurring issues or prevent potential property damage. Ants can sometimes invade structures in search of food or shelter, leading to concerns about contamination or structural integrity. Additionally, some residents may want to eliminate ants to maintain cleanliness and comfort in their living or working spaces. Local service providers can offer targeted solutions to manage and eliminate ant populations effectively, helping property owners maintain a safe and pest-free environment.

Get an Ants Extermination Service Quote

How do ant extermination services work? Ant extermination services typically involve inspecting the affected area, identifying ant species and entry points, and applying targeted treatments to eliminate colonies and prevent future infestations.

Are extermination methods safe for pets and children? Many local pros use treatment options that are safe for homes with pets and children, but it’s best to discuss specific concerns with the service provider during contact.

How long does an ant extermination treatment take? The duration of treatment varies depending on the severity of the infestation and the methods used, but most services aim to complete the process efficiently.

Will I need multiple treatments to get rid of ants? Some ant infestations may require more than one treatment to fully eliminate colonies and prevent recurrence, which can be discussed with the service provider during contact.

How can I prevent future ant problems? Local pros often recommend maintaining clean environments, sealing entry points, and removing food sources to help prevent future ant issues after treatment.

Ants Identification and Behavior - Understanding ant species and their nesting habits can help in choosing the most effective extermination methods.

Inspection Services - Local pros can evaluate property areas to locate ant colonies and entry points for targeted treatment.

Extermination Treatments - Professional providers offer various treatment options to eliminate ant infestations and prevent future reentry.

Preventive Solutions - Experts can recommend strategies to reduce attractants and seal entry points, minimizing the risk of ant re-infestation.

Ants Extermination Service

Considering Ants Extermination Service for a property in Roanoke, TX? The sections above highlight common project types, practical options, and details that often shape the scope of work.

When you are ready, use the quote form to share a few details about your project. Local pros can review the basics and respond with options that match what you have in mind.

Get an Ants Extermination Service Quote

Ants Extermination Quotes

Our Trusted Partners
Cantu Pest Control
Orkin
Hawx Pest Control