Local Service Overview

Get Black Ant Extermination in Princeton, TX

Black Ant Extermination services for Princeton, TX, and nearby areas address ant infestations, prevent future outbreaks, and handle residential or commercial pest control projects.

Princeton, TX

Black ant extermination services are a practical solution for property owners in Princeton, TX seeking to maintain a comfortable and safe living environment. These services help eliminate persistent ant infestations that can disrupt daily routines and compromise the usability of outdoor and indoor spaces. By addressing these pests promptly, property owners can enjoy a more functional and inviting atmosphere, free from the nuisance and potential health concerns associated with ant colonies.

Choosing professional extermination services offers benefits such as enhanced durability of pest control efforts and reduced ongoing maintenance needs. Effective ant removal can improve curb appeal by preventing unsightly ant trails and nests around the property. This not only preserves the aesthetic appeal of the landscape but also contributes to a sense of security and well-being, making it easier to enjoy outdoor areas with confidence.

Get Black Ant Extermination Quotes

  • Ant Extermination - needed when black ants invade kitchens and pantry areas in homes or businesses.
  • Outdoor Ant Control - required for properties experiencing persistent ant trails around gardens or building foundations.
  • Spring Ant Prevention - useful for homeowners seeking to reduce ant activity during seasonal changes.
  • Infestation Treatment - necessary when black ants have established large colonies inside walls or beneath flooring.
  • Residential Ant Solutions - sought after by residents facing recurring black ant problems in living spaces.

Get Black Ant Extermination Quotes

Black Ant Extermination
Black Ant Extermination
Black Ant Extermination

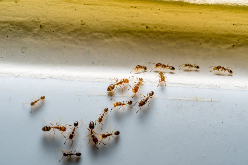
Black ant extermination services focus on eliminating infestations of black ants from residential and commercial properties. These services typically involve thorough inspections to identify the extent of the ant problem and locate their nesting sites. Treatment options may include targeted applications of insecticides, baiting systems, and barriers designed to disrupt the ants’ trails and colonies. The goal is to reduce or eradicate the black ant population, preventing future invasions and minimizing their presence indoors and outdoors.

Black ants can cause various problems for property owners. While they are generally not harmful to humans, their presence can be a nuisance, especially when they invade kitchens, pantries, and other areas where food is stored. In some cases, black ants may also damage plants or wooden structures if they establish nests nearby. Persistent infestations can lead to frustration and discomfort, prompting property owners to seek professional extermination services to restore a pest-free environment.

These extermination services are commonly used for a variety of property types, including single-family homes, apartment complexes, restaurants, and commercial buildings. Residential properties often require treatment in kitchens, basements, and yards where black ants tend to forage. Commercial establishments, especially food service businesses, prioritize black ant control to maintain hygiene standards and comply with health regulations. Additionally, property managers and landlords may seek professional help to manage ant problems across multiple units or shared spaces.

Engaging with local pest control providers ensures that black ant extermination is handled efficiently and effectively. These professionals can assess the specific conditions of each property, recommend suitable treatment plans, and implement solutions tailored to the severity of the infestation. Contacting experienced service providers can help property owners maintain pest-free environments and prevent future black ant invasions.

The overview below groups typical Black Ant Extermination projects into broad ranges so you can see how smaller, mid-sized, and larger jobs often compare in Princeton, TX.

In many markets, a large share of routine jobs stays in the lower and middle ranges, while only a smaller percentage of projects moves into the highest bands when the work is more complex or site conditions are harder than average.

Initial Inspection and Treatment - The cost for a basic black ant extermination service typically ranges from $150 to $300, depending on the size of the property and severity of the infestation. This includes an inspection and initial treatment to eliminate visible ants and their nests.

Perimeter Pest Control - Ongoing perimeter treatments to prevent future black ant invasions generally cost between $100 and $250 per visit. Multiple visits may be recommended for comprehensive protection around residential or commercial properties.

Extended Treatment Plans - For severe or recurring infestations, extended treatment plans can range from $300 to $600 or more. These plans often include multiple visits, targeted baiting, and ongoing monitoring by local service providers.

Additional Services and Follow-ups - Follow-up treatments or specialized services, such as bait station installation, typically cost between $75 and $200 per session. Costs vary based on property size and specific treatment methods used by local pros.

Actual totals will depend on details like access to the work area, the scope of the project, and the materials selected, so use these as general starting points rather than exact figures.

Get a Black Ant Extermination Quote

Black Ant Extermination - Local pest control providers offer specialized services to eliminate black ants and prevent future infestations in residential and commercial properties.

Ant Infestation Removal - Service providers focus on identifying ant colonies and applying targeted treatments to effectively remove black ant populations.

Residential Ant Control - Local pros provide tailored solutions to address black ant issues in homes, ensuring safe and effective eradication methods.

Commercial Pest Management - Businesses can connect with professionals experienced in managing black ant problems in commercial spaces to maintain hygiene standards.

Prevention and Barrier Treatments - Experts apply preventative measures to protect properties from future black ant invasions and improve long-term pest control.

Inspection and Consultation - Local pest control specialists offer inspections to assess black ant activity and recommend appropriate treatment options.

Black Ant Extermination

When selecting a professional for black ant extermination services, it is important to consider their experience in handling ant infestations similar to the specific needs of a home. Homeowners should look for service providers with a proven track record in successfully managing ant problems in residential settings, particularly in the Princeton, TX area. An experienced contractor can better understand the behavior of black ants and apply effective treatment methods, which can contribute to more reliable results.

Clear communication and well-defined written expectations are essential when working with local pros. Homeowners should seek out service providers who offer detailed explanations of their treatment approaches, the scope of work, and any follow-up procedures. Having these expectations documented helps ensure both parties are aligned and can help prevent misunderstandings during the process.

Reputable references and positive feedback from previous clients can serve as valuable indicators of a contractor’s reliability and quality of work. Homeowners are encouraged to inquire about references or reviews from local residents who have previously engaged the same service provider. Additionally, open and responsive communication from the contractor can facilitate a smoother experience, making it easier to address questions or concerns throughout the extermination process.

Get a Black Ant Extermination Quote

Property owners in Princeton, TX use Black Ant Extermination services for practical projects around their homes and businesses. The sections below highlight everyday jobs and straightforward project options.

Black Ant Extermination
Black Ant Extermination

Black ant extermination services are commonly sought after by property owners in Princeton, TX, who notice persistent ant activity around their homes or businesses. These insects can invade kitchens, bathrooms, and other areas, leading to concerns about hygiene and property damage. Local service providers are often contacted to identify the source of the infestation and implement effective treatments to eliminate colonies and prevent future invasions.

Property owners may also look for black ant extermination when experiencing recurring problems despite previous attempts at control. In many cases, ants find their way inside through small cracks or gaps, especially during warmer months. Local extermination professionals can assess the property, recommend targeted solutions, and help maintain a pest-free environment for homes and commercial spaces in Princeton and nearby communities.

Get a Black Ant Extermination Quote

Why are black ants attracted to my home? Black ants are drawn to food sources, water, and shelter around residential properties, which can lead them inside your home.

How do exterminators eliminate black ant infestations? Professionals typically use targeted treatments such as baits, sprays, or dusts to eradicate black ant colonies and prevent future invasions.

Are black ants dangerous to humans or pets? Black ants are generally not harmful, but their presence can be a nuisance and may contaminate food or surfaces.

What are common signs of a black ant infestation? Signs include visible trails, ants inside the home, and small piles of dirt or debris near entry points.

How can I prevent black ants from returning? Proper sanitation, sealing entry points, and regular inspections can help reduce the likelihood of future ant problems.

Black Ant Extermination Solutions - Local service providers can assess infested areas and recommend appropriate removal methods for black ants.

Integrated Pest Management - Professionals may implement comprehensive strategies to control black ant populations and prevent future infestations.

Targeted Ant Baiting - Experts often use baiting techniques to effectively eliminate black ants at their source.

Preventive Treatments - Service providers can apply treatments to reduce the likelihood of black ant re-infestation around residential or commercial properties.

Black Ant Extermination

Considering Black Ant Extermination for a property in Princeton, TX? The sections above highlight common project types, practical options, and details that often shape the scope of work.

When you are ready, use the quote form to share a few details about your project. Local pros can review the basics and respond with options that match what you have in mind.

Get a Black Ant Extermination Quote

Black Ant Extermination Quotes

Our Trusted Partners
Cantu Pest Control
Orkin
Hawx Pest Control
Mosquito Shield