Local Service Overview

Get Ants Extermination Service in Allen, TX

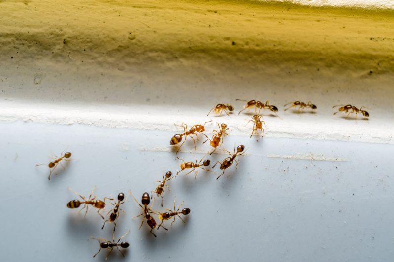
Ants extermination services for property owners in Allen, TX, and nearby areas address ant infestations, prevent future invasions, and handle residential and commercial pest control projects.

Allen, TX

Ants extermination services are a practical solution for property owners in Allen, TX seeking to maintain a comfortable and functional living or working environment. By addressing ant infestations promptly, property owners can prevent damage to structures, electrical wiring, and stored goods, reducing the need for ongoing repairs and maintenance. These services help ensure that homes and businesses remain safe, clean, and free from pests that can compromise daily activities and overall property durability.

Choosing professional ant extermination also enhances curb appeal by creating a tidy, pest-free exterior and interior. A well-maintained property not only looks inviting but also contributes to a sense of safety and well-being. Property owners often look for effective, long-lasting solutions that minimize future pest issues, allowing them to enjoy peace of mind and focus on other priorities while maintaining the value and appearance of their property in Allen, TX.

Get Ants Extermination Service Quotes

  • Ants Extermination - When ants invade kitchens or pantry areas in homes or businesses in Allen, TX and surrounding regions.
  • Ants Extermination - For properties experiencing persistent ant trails or nests in yards and landscaping.
  • Ants Extermination - In cases where ant colonies threaten to establish indoors or around foundations in nearby neighborhoods.
  • Ants Extermination - When foraging ants are seen in high-traffic areas, indicating a potential infestation.
  • Ants Extermination - For commercial or residential properties seeking professional assistance to prevent future ant problems.

Get Ants Extermination Service Quotes

Ants Extermination Service
Ants Extermination Service
Ants Extermination Service

Ants extermination services involve identifying and eliminating ant infestations within residential, commercial, or industrial properties. Professionals typically conduct thorough inspections to determine the extent of the ant problem and locate their entry points and nests. Treatment methods may include the application of targeted baits, insecticides, or barriers designed to eradicate existing colonies and prevent future invasions. These services aim to reduce ant populations effectively and restore a pest-free environment.

Ant infestations can lead to various issues, including property damage, contamination of food supplies, and general discomfort. Certain species, such as carpenter ants, are known to cause structural damage by excavating wood, while others may invade kitchens or pantries, contaminating food. Ants can also be a source of irritation and stress for residents and employees, especially when the infestation is widespread. Professional extermination services help address these problems by removing ants quickly and minimizing the risk of recurring issues.

Commercial properties, such as restaurants, warehouses, and office buildings, often utilize ant extermination services to maintain hygiene standards and ensure a pest-free environment for staff and customers. Similarly, multi-family dwellings like apartment complexes and condominiums seek these services to prevent widespread infestations that could affect multiple units. Residential homes are also common clients, especially in areas where ant activity is frequent or severe. The goal in all cases is to establish a pest-free setting that supports health, safety, and comfort.

Extermination services typically involve a combination of inspection, targeted treatments, and follow-up measures to ensure long-term control. Local pest control providers customize their approaches based on the property type, the severity of the infestation, and the specific ant species involved. By engaging these professionals, property owners can effectively manage ant problems, reduce property damage, and create a more comfortable living or working environment.

The overview below groups typical Ants Extermination Service projects into broad ranges so you can see how smaller, mid-sized, and larger jobs often compare in Allen, TX.

In many markets, a large share of routine jobs stays in the lower and middle ranges, while only a smaller percentage of projects moves into the highest bands when the work is more complex or site conditions are harder than average.

Per-Infestation Cost - Ant extermination services typically range from $150 to $300 for a single infestation. Larger or more severe infestations may cost between $300 and $600. Costs vary based on the extent of the ant problem and property size.

Treatment Method Fees - The price for chemical treatments usually falls between $100 and $250 per treatment session. Multiple treatments over several weeks can increase the total cost. Treatment type and ant species influence overall expenses.

Inspection and Consultation - A professional inspection generally costs between $50 and $150. This fee may be included in the overall treatment cost or charged separately, depending on the service provider. Inspections help determine the best extermination approach.

Property Size and Location - Costs can vary based on property size, with small homes typically costing $150 to $350. Larger properties or commercial spaces may see prices ranging from $400 to $800. Local rates in Allen, TX, influence the final pricing.

Actual totals will depend on details like access to the work area, the scope of the project, and the materials selected, so use these as general starting points rather than exact figures.

Get an Ants Extermination Service Quote

Ants Extermination services connect property owners with local pest control providers experienced in eliminating ant infestations. These pros use targeted methods to remove ants from residential and commercial spaces.

Ants Prevention solutions involve experts advising on measures to prevent future ant problems and maintain pest-free environments. Local service providers can implement ongoing prevention strategies.

Emergency Ant Control services are available for urgent situations requiring immediate attention to severe ant infestations. Contact local pros for prompt response and professional assistance.

Commercial Ant Extermination services cater to businesses seeking specialized pest control to protect their facilities from ant invasions. Local providers offer tailored solutions for commercial properties.

Residential Ant Removal services focus on eliminating ants from homes and living spaces, ensuring a safe and pest-free environment. Local pest control experts can address specific residential needs.

Ant Infestation Inspection services involve inspections to identify ant activity and assess the extent of the problem. Local specialists can provide thorough evaluations to inform treatment plans.

Ants Extermination Service

When selecting a professional for ant extermination services, it is important to consider their experience in handling ant infestations and similar pest control issues. Homeowners should look for service providers with a proven track record in effectively managing ant problems within their local area. Reputable references or reviews from previous clients can offer insights into the quality of work and reliability of the pros, helping to inform a well-rounded decision.

Clear communication and well-defined expectations are essential components of a successful service experience. Pros should provide detailed information about their process, what homeowners can expect during treatment, and any necessary preparations or follow-up steps. Transparent and open communication helps ensure that homeowners are informed and comfortable throughout the process.

The site introduces a selection of local service providers specializing in ant extermination, but it is important to note that it does not perform the work directly. Homeowners are encouraged to contact these local pros to discuss their specific needs, verify their credentials, and obtain more information about their services. This approach allows for personalized service tailored to the unique requirements of each property.

Get an Ants Extermination Service Quote

Property owners in Allen, TX use Ants Extermination Service services for practical projects around their homes and businesses. The sections below highlight everyday jobs and straightforward project options.

Ants Extermination Service
Ants Extermination Service

Ants extermination services are commonly sought after by property owners in Allen, TX when they notice signs of ant activity around their homes or businesses. Common situations include discovering ant trails in kitchens or outdoor areas, or seeing an increase in ant presence during warmer months. Property owners often look for professional assistance to address these issues effectively, preventing potential infestations from spreading and causing further inconvenience.

In addition to visible ant problems, property owners may seek extermination services to eliminate nests that are difficult to locate or access. Concerns about ant colonies undermining the integrity of structures or contaminating food supplies can prompt residents and business owners to contact local service providers. Professional exterminators can assess the situation and implement targeted treatments to help maintain a pest-free environment.

Get an Ants Extermination Service Quote

How do ant extermination services work? Ant extermination services typically involve inspecting the property to identify ant colonies, applying targeted treatments to eliminate existing ants, and implementing preventative measures to reduce future infestations. Local service providers can customize treatments based on the type of ants and the severity of the problem.

Are ant extermination treatments safe for pets and children? Many extermination methods are designed to be safe for households when applied properly. It is recommended to consult with local pros about specific treatments to ensure safety for pets and children in the home environment.

How long does an ant extermination treatment usually last? The duration of effectiveness varies depending on the treatment method and the severity of the infestation. Local service providers can advise on follow-up treatments or preventative strategies to maintain control.

Will extermination services prevent future ant problems? While treatments can significantly reduce current ant populations, ongoing prevention measures, such as sealing entry points and maintaining cleanliness, are often recommended to help prevent future infestations.

How can I identify an ant infestation in my home? Signs of an ant infestation include visible ants crawling indoors, ant trails, discarded wings near windows or doors, and small piles of dirt or debris near entry points. Local pros can assist with inspection and identification.

Ants Extermination Techniques - Local service providers can implement various methods such as baiting, trapping, and residual treatments to effectively eliminate ant colonies.

Inspection and Identification - Professionals can assess property conditions to identify ant entry points and nesting areas for targeted treatment.

Preventive Measures - Service providers may recommend sealing cracks, removing food sources, and maintaining cleanliness to prevent future ant infestations.

Ongoing Monitoring - Experts can establish regular inspections to ensure ant problems are managed and do not recur.

Ants Extermination Service

Considering Ants Extermination Service for a property in Allen, TX? The sections above highlight common project types, practical options, and details that often shape the scope of work.

When you are ready, use the quote form to share a few details about your project. Local pros can review the basics and respond with options that match what you have in mind.

Get an Ants Extermination Service Quote

Ants Extermination Quotes

Our Trusted Partners
Cantu Pest Control
Orkin
Hawx Pest Control