Local Service Overview

Get Black Ant Extermination in Justin, TX

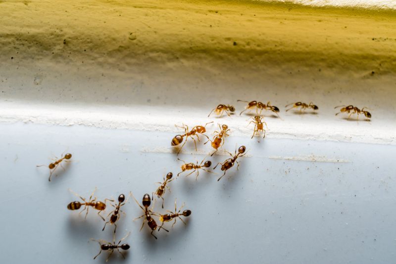
Black ant extermination services for property owners in Justin, TX, typically address ant infestations, prevent future invasions, and involve removal and treatment of affected areas.

Justin, TX

Black ant extermination services are a practical solution for property owners in Justin, TX seeking to maintain a safe and comfortable environment. These services help prevent ant infestations that can disrupt daily life, damage structures, and compromise sanitation. By addressing ant problems early, property owners can enjoy a more functional space with reduced concerns about pests affecting the overall safety and usability of their homes or businesses.

Choosing professional extermination services also offers benefits related to durability and curb appeal. Effective pest control treatments can lead to longer-lasting results, minimizing the need for frequent interventions. Additionally, eliminating ant colonies enhances the appearance of outdoor areas and landscaping, contributing to the property's overall attractiveness. Contacting local experts ensures that pest management is tailored to the specific needs of properties in Justin, TX, providing peace of mind and a pest-free environment.

Get Black Ant Extermination Quotes

  • Black Ant Extermination services are needed when black ants invade homes or commercial properties in Justin, TX and surrounding areas.
  • Black Ant Extermination may be required if black ants are persistent in outdoor gardens or landscaping near residential yards.
  • Black Ant Extermination services are appropriate when black ant colonies are discovered inside wall voids or beneath flooring.
  • Black Ant Extermination might be necessary for properties experiencing large black ant swarms during the warmer months.
  • Black Ant Extermination is recommended if black ants are found near food storage areas or kitchen spaces in nearby neighborhoods.

Get Black Ant Extermination Quotes

Black Ant Extermination
Black Ant Extermination
Black Ant Extermination

Black ant extermination services are designed to eliminate infestations of common black ants that invade residential and commercial properties. These services typically involve identifying the source of the ant activity, locating nests, and applying targeted treatments to eradicate the colony. Professionals may use a combination of baiting, residual sprays, and dust formulations to effectively control the pest population. The goal is to reduce ant activity and prevent future invasions, helping property owners maintain a clean and pest-free environment.

Ant infestations can cause multiple problems for property owners, including unsightly trails, nuisance, and potential contamination of food and surfaces. In some cases, black ants may also indicate underlying issues such as moisture problems or access points that need addressing. Persistent ant activity can lead to frustration and discomfort, especially in homes where they may invade kitchens, pantries, or dining areas. Professional extermination services help resolve these issues by thoroughly removing the ants and implementing measures to discourage re-infestation.

Properties that commonly seek black ant extermination services include single-family homes, apartment complexes, restaurants, and retail stores. Residential properties often experience ant invasions during warmer months when ants search for food and water sources. Commercial establishments, especially those involved in food service, prioritize pest control to meet health and safety standards. Additionally, office buildings and warehouses may also require professional assistance to manage ant populations and maintain a hygienic environment.

Engaging with local pest control providers for black ant extermination offers a tailored approach to addressing specific infestations. These professionals assess the severity of the problem, identify entry points, and develop effective treatment plans suited to each property type. Proper extermination not only removes current ant colonies but also helps prevent future invasions by sealing entry points and advising on property maintenance practices. Contacting local experts ensures that property owners receive targeted solutions to keep their spaces pest-free.

The overview below groups typical Black Ant Extermination projects into broad ranges so you can see how smaller, mid-sized, and larger jobs often compare in Justin, TX.

In many markets, a large share of routine jobs stays in the lower and middle ranges, while only a smaller percentage of projects moves into the highest bands when the work is more complex or site conditions are harder than average.

Initial Black Ant Extermination - The cost for a one-time black ant extermination service typically ranges from $150 to $300, depending on the size of the affected area. Larger infestations or properties may incur higher fees within this range.

Recurring Treatment Plans - Ongoing treatment plans to control black ant populations generally cost between $50 and $150 per visit. These plans often include regular inspections and treatments to prevent future infestations.

Per-Visit Service Fees - Single-visit black ant removal services usually fall between $100 and $250, with prices varying based on the severity of the infestation and property size.

Additional Treatment Costs - Additional costs may apply for specialized treatments or if multiple visits are needed, typically adding $50 to $200 per session depending on the extent of the problem.

Actual totals will depend on details like access to the work area, the scope of the project, and the materials selected, so use these as general starting points rather than exact figures.

Get a Black Ant Extermination Quote

Black Ant Extermination services are essential for eliminating infestations that can cause property damage and health concerns. Local pest control providers offer targeted treatments to remove black ants and prevent future invasions.

Ant Control projects involve identifying ant entry points and applying effective solutions to control black ant populations. Professionals customize approaches based on the severity of the infestation.

Pest Management services include integrated strategies for controlling black ants and other common pests around residential and commercial properties. Experienced providers focus on long-term prevention methods.

Insect Extermination efforts encompass treatments specifically aimed at black ants, utilizing products and techniques that target their nests and foraging trails. Local specialists ensure safe and effective application.

Residential Pest Control involves addressing black ant issues within homes, helping to maintain a pest-free environment. Local pros assess the property and recommend suitable treatment plans.

Commercial Pest Solutions are available for businesses dealing with black ant infestations, ensuring compliance and maintaining a clean, pest-free space. Experienced providers deliver discreet and effective services.

Black Ant Extermination

When selecting a professional for black ant extermination, it’s important to consider their experience with ant control services. Homeowners should look for local providers who have a proven track record in managing ant infestations, especially those familiar with the specific challenges posed by black ants. Gathering information about a contractor’s background, including how long they have been operating and their familiarity with local ant species, can help ensure that the service provider has the necessary expertise to handle the job effectively.

Clear communication and written expectations are essential when working with a pest control professional. Homeowners are encouraged to discuss what the service entails, including any preparations needed beforehand and follow-up procedures. Reputable providers often provide detailed written estimates or plans that outline the scope of work, methods used, and any guarantees or warranties offered. Having these expectations in writing helps establish transparency and ensures that both parties are aligned on the services to be performed.

Reputation and references are valuable indicators of a reliable extermination service. Local homeowners can seek out providers with positive references from previous clients or reviews that demonstrate consistent quality of work. Reputable service providers typically have a history of satisfied customers and are willing to share references or testimonials. Effective communication is also a key factor; a professional who responds promptly, clearly explains the process, and answers questions thoroughly can contribute to a smoother experience and greater confidence in the chosen provider.

Get a Black Ant Extermination Quote

Property owners in Justin, TX use Black Ant Extermination services for practical projects around their homes and businesses. The sections below highlight everyday jobs and straightforward project options.

Black Ant Extermination
Black Ant Extermination

Black ant extermination services are commonly sought by property owners in Justin, TX, facing persistent ant invasions that disrupt daily life. These pests often find their way indoors, especially during warmer months, creating nuisances in kitchens, pantries, and other living spaces. Local service providers can assist with identifying ant entry points and implementing targeted treatments to help restore comfort and prevent future infestations.

Property owners may also look for black ant extermination when noticing increased ant activity around the exterior of their homes or commercial buildings. Such activity can indicate underlying issues like moisture problems or access points that need addressing. Professional extermination services can help eliminate existing colonies and provide advice on reducing conditions that attract ants, supporting ongoing pest management efforts.

Get a Black Ant Extermination Quote

What are common signs of black ant infestations? Signs include visible ant trails, presence of large groups of ants near food sources or entry points, and small piles of dirt or debris around the foundation or indoor areas.

Are black ants harmful to my home or health? While black ants are generally not dangerous to humans, they can contaminate food and may cause minor structural damage if they build extensive nests indoors.

How do extermination services typically eliminate black ants? Local service providers often use targeted treatments such as baiting, dusts, or sprays to eliminate black ant colonies and prevent future infestations.

Can black ant problems come back after treatment? Yes, if food sources or entry points are not addressed, black ants may return. Regular inspections and maintenance can help keep them away.

What should I do before a black ant extermination service? Remove food and water sources, clean affected areas, and inform the service provider of any visible nests or problem spots for effective treatment.

Black Ant Identification - Learn how to recognize black ants and understand their behaviors to better inform extermination strategies.

Effective Extermination Methods - Explore various techniques used by local service providers to eliminate black ant infestations safely and efficiently.

Preventive Measures - Discover steps recommended by professionals to help prevent future black ant invasions around residential and commercial properties.

Choosing a Local Expert - Find tips on selecting qualified local contractors who specialize in black ant control for reliable results.

Black Ant Extermination

Considering Black Ant Extermination for a property in Justin, TX? The sections above highlight common project types, practical options, and details that often shape the scope of work.

When you are ready, use the quote form to share a few details about your project. Local pros can review the basics and respond with options that match what you have in mind.

Get a Black Ant Extermination Quote

Black Ant Extermination Quotes

Our Trusted Partners
Cantu Pest Control
Orkin
Hawx Pest Control
Mosquito Shield