Local Service Overview

Get Ants Extermination Service in Grapevine, TX

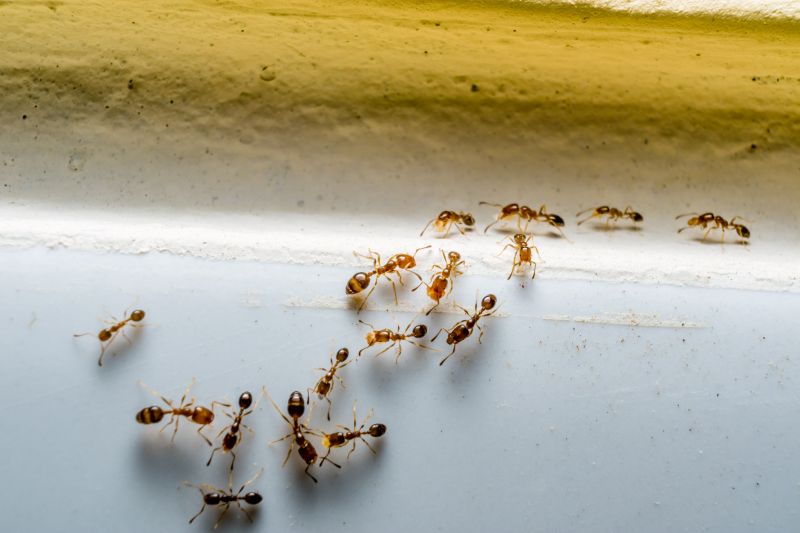
Ants extermination services for property owners in Grapevine, TX, and nearby areas address ant infestations, prevent future invasions, and handle residential and commercial pest control projects.

Grapevine, TX

Ants extermination services are a practical solution for property owners in Grapevine, TX seeking to maintain a safe and comfortable environment. By addressing ant infestations promptly, homeowners can prevent potential damage to structures, electrical wiring, and stored belongings, while also reducing the risk of attracting other pests. Effective extermination helps preserve the functionality of a property, ensuring that living and working spaces remain free of disruptions caused by unwanted insects.

Choosing professional ant control services offers benefits such as enhanced curb appeal and reduced ongoing maintenance. A pest-free property appears well-maintained and inviting, which can positively impact property value. Additionally, targeted extermination methods promote durability by preventing ant colonies from establishing a persistent presence, making it easier to keep the space pest-free over time. Engaging experienced service providers helps property owners achieve a safer, more attractive, and more resilient environment.

Get Ants Extermination Service Quotes

  • Ants Extermination - needed when ants invade kitchens, bathrooms, or other indoor spaces in residential or commercial properties.
  • Ants Extermination - required if a persistent ant trail is observed around the exterior of a home or building.
  • Ants Extermination - necessary when ant nests are found in lawns, gardens, or landscaped areas in neighborhoods near Grapevine, TX.
  • Ants Extermination - sought after when ant activity increases during warmer months or after heavy rains.
  • Ants Extermination - essential if ants are causing damage to structures, electrical wiring, or stored goods.

Get Ants Extermination Service Quotes

Ants Extermination Service
Ants Extermination Service
Ants Extermination Service

Ants extermination services involve specialized treatments aimed at eliminating ant colonies and preventing future infestations. These services typically include thorough inspections to identify the source of the ant problem, followed by targeted application of insecticides or baiting systems designed to attract and eradicate ants at various stages of their lifecycle. Professionals may also advise on sanitation practices and structural modifications to reduce attractants and entry points, helping to create a less hospitable environment for ants within residential or commercial properties.

The primary issues addressed by ants extermination services are the nuisance and potential damage caused by ant colonies. Ants can invade kitchens, pantries, and other living or working areas, contaminating food and surfaces. Certain species, such as carpenter ants, can also cause structural damage by burrowing into wood. Extermination services aim to eliminate these pests efficiently, minimizing disruptions and preventing the spread of ant populations to other parts of a property.

Properties that commonly utilize ants extermination services include single-family homes, apartment complexes, restaurants, and retail stores. Residential properties often seek pest control to maintain hygiene and comfort, especially in kitchens and dining areas. Commercial establishments, particularly those involved in food service or storage, require regular pest management to comply with health standards and prevent infestations that could impact their operations. Additionally, property managers and landlords may contact professionals to address ant issues across multiple units or buildings.

Professional ant extermination services are designed to provide long-term solutions to persistent pest problems. They involve a combination of treatment methods tailored to the specific species and severity of the infestation. By working with local pest control providers, property owners and residents can effectively manage ant issues, protect their spaces, and maintain a clean, pest-free environment.

The overview below groups typical Ants Extermination Service projects into broad ranges so you can see how smaller, mid-sized, and larger jobs often compare in Grapevine, TX.

In many markets, a large share of routine jobs stays in the lower and middle ranges, while only a smaller percentage of projects moves into the highest bands when the work is more complex or site conditions are harder than average.

Per-Visit Inspection - The cost for an ant inspection typically ranges from $50 to $150, depending on the property size and extent of infestation. Some providers may charge a flat fee within this range for a comprehensive assessment.

Initial Treatment - Ant extermination services usually cost between $150 and $300 for the first treatment session. Larger properties or severe infestations may incur higher charges within this range.

Ongoing Treatments - Follow-up treatments or ongoing service plans generally cost between $50 and $100 per visit. These are recommended for persistent ant problems to ensure long-term control.

Whole-Property Extermination - Complete ant extermination for an entire home or commercial property can range from $300 to $600. The final cost depends on property size and infestation severity, with larger spaces tending toward the upper end of the range.

Actual totals will depend on details like access to the work area, the scope of the project, and the materials selected, so use these as general starting points rather than exact figures.

Get an Ants Extermination Service Quote

Ants Extermination - Local pest control providers offer specialized services to eliminate ant infestations and prevent future outbreaks in residential and commercial properties.

Ant Control Treatments - Professionals utilize targeted treatment methods to effectively reduce ant populations and address the source of the infestation.

Barrier and Prevention Services - Service providers implement barrier techniques to block ant entry points and establish ongoing prevention strategies.

Ant Inspection Services - Experts conduct thorough inspections to identify ant nesting sites and determine the extent of the infestation.

Eco-Friendly Ant Extermination - Some providers offer environmentally conscious solutions to control ants without harmful chemicals.

Residential Ant Extermination - Local pros assist homeowners in eradicating ants from kitchens, gardens, and other areas around the home.

Ants Extermination Service

When evaluating ant extermination services in Grapevine, TX, homeowners should consider the experience of local service providers. An established provider with a history of handling ant infestations can often demonstrate familiarity with common issues specific to the area. It’s beneficial to review how long a pro has been operating locally and whether they have successfully managed similar cases. While experience alone doesn’t guarantee quality, it can be an indicator of a provider’s ability to address unique challenges effectively.

Clear communication and well-defined expectations are essential when selecting an ant extermination service. Reputable local pros typically provide detailed information about their methods, what homeowners can expect during the process, and any necessary follow-up steps. Transparency in service offerings helps ensure that homeowners understand the scope of work and can make informed decisions. Additionally, good communication involves responsiveness to questions and concerns, fostering a sense of trust and clarity throughout the service experience.

References and reputation play a significant role in choosing a local pest control provider. Homeowners are encouraged to seek out reputable references or reviews from previous clients in the community. Positive feedback and consistent recommendations can serve as indicators of a provider’s reliability and quality of service. Since the site introduces local options but is not a contractor itself, it’s recommended to contact multiple providers to compare their reputations, communication styles, and the clarity of their service expectations before making a decision.

Get an Ants Extermination Service Quote

Property owners in Grapevine, TX use Ants Extermination Service services for practical projects around their homes and businesses. The sections below highlight everyday jobs and straightforward project options.

Ants Extermination Service
Ants Extermination Service

Ants extermination services are often sought by property owners in Grapevine, TX, facing common household intrusions. Whether ants are found in kitchens, bathrooms, or outdoor spaces, many seek professional help to effectively eliminate colonies and prevent future invasions. Local service providers can assist with identifying the source of the ant problem and applying targeted treatments to restore comfort and cleanliness to residential and commercial properties.

Property owners may also look for ant extermination services after noticing increased activity during warm months or following construction projects that disturb ant habitats. Ensuring a pest-free environment can be important for maintaining property value and hygiene. Local pros offer solutions tailored to the specific needs of homes and businesses in Grapevine, helping to manage ant issues efficiently and thoroughly.

Get an Ants Extermination Service Quote

How do ant extermination services work? Ant extermination services typically involve inspecting the property to identify ant activity and nesting sites, followed by applying targeted treatments to eliminate the colonies and prevent future infestations.

Are there different types of ant treatments available? Yes, local service providers may offer various treatment options, including baits, sprays, and dusts, tailored to the specific ant species and infestation severity.

How long does an ant extermination treatment last? The effectiveness duration can vary depending on the treatment method and extent of the infestation; a professional can provide guidance on maintenance or follow-up treatments.

Is ant extermination safe for pets and children? Most treatments used by professionals are designed to be safe when applied properly, but it’s advisable to follow any specific safety instructions provided by the service provider.

How can I prevent future ant problems? Local ant control experts can recommend strategies such as sealing entry points, maintaining cleanliness, and implementing ongoing treatments to reduce the likelihood of future infestations.

Ants Identification and Inspection - Local pest control providers can assess your property to identify ant species and determine the extent of the infestation.

Targeted Ant Extermination - Professionals utilize effective treatment methods to eliminate ant colonies and prevent future invasions.

Preventive Ant Control Solutions - Service providers can recommend and implement strategies to reduce attractants and keep ants from returning.

Ongoing Ant Management Plans - Customized maintenance programs are available to monitor and control ant activity over time.

Ants Extermination Service

Considering Ants Extermination Service for a property in Grapevine, TX? The sections above highlight common project types, practical options, and details that often shape the scope of work.

When you are ready, use the quote form to share a few details about your project. Local pros can review the basics and respond with options that match what you have in mind.

Get an Ants Extermination Service Quote

Ants Extermination Quotes

Our Trusted Partners
Cantu Pest Control
Orkin
Hawx Pest Control