Local Service Overview

Get Ants Extermination Service in Sachse, TX

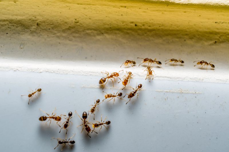
Ants extermination services for property owners in Sachse, TX, and nearby areas address ant infestations, prevent future outbreaks, and handle residential and commercial pest control projects.

Sachse, TX

Ants extermination services are essential for property owners in Sachse, TX seeking to maintain a comfortable and safe living environment. Ant infestations can cause disruptions, damage to structures, and contamination of food supplies. Professional extermination helps eliminate these pests efficiently, reducing the risk of future invasions and ensuring that homes and businesses remain functional and free from unwanted disturbances. By addressing ant problems promptly, property owners can enjoy peace of mind and a more inviting, pest-free space.

Choosing expert ant extermination services also offers benefits related to durability and curb appeal. Proper treatment can prevent recurring infestations, minimizing ongoing maintenance and repair costs. Additionally, a pest-free exterior enhances the visual appeal of a property, contributing to a well-maintained and attractive appearance. Skilled service providers utilize proven methods to deliver lasting results, helping property owners preserve the integrity and value of their properties over time.

Get Ants Extermination Service Quotes

  • Ants Extermination - needed when ant colonies invade residential or commercial properties in Sachse, TX and nearby areas.
  • Ants Extermination - required for persistent ant problems that disrupt daily activities in local homes and businesses.
  • Ants Extermination - essential when ant trails and nests are found in kitchens, basements, or outdoor spaces in the region.
  • Ants Extermination - necessary for preventing future ant infestations after initial treatment efforts in nearby communities.
  • Ants Extermination - sought when ant activity increases during warmer months in areas around Sachse, TX.

Get Ants Extermination Service Quotes

Ants Extermination Service
Ants Extermination Service
Ants Extermination Service

Ants extermination services involve identifying and eliminating ant infestations within residential, commercial, or industrial properties. Professionals typically conduct thorough inspections to locate ant colonies and determine the species involved. Treatment methods may include the application of targeted insecticides, baiting systems, and barriers to prevent future invasions. These services aim to remove the existing ant populations effectively while minimizing disruption to the property.

Ant infestations can cause a range of problems, including property damage, contamination of food supplies, and general nuisance. Certain species, like carpenter ants, are known to damage wood structures, leading to costly repairs if not addressed promptly. Additionally, ants can multiply rapidly, making early intervention crucial to controlling the problem before it becomes widespread. Extermination services help to manage these issues by reducing ant populations and implementing preventative measures.

The types of properties that typically utilize ant extermination services include single-family homes, apartment complexes, restaurants, and office buildings. Residential properties often seek treatment to protect food storage areas and maintain comfort, while commercial establishments may require ongoing pest management to meet health and safety standards. Warehouses and food processing facilities also frequently use extermination services to prevent contamination and safeguard their operations from ant-related disruptions.

Professional ant extermination services are tailored to the specific needs of each property type and infestation severity. Local service providers utilize a variety of treatment strategies designed to target different ant species and nesting habits. Whether dealing with a minor nuisance or a significant infestation, property owners can contact local pros to assess the situation and implement appropriate control measures. These services help maintain a pest-free environment and reduce the likelihood of recurring ant problems.

The overview below groups typical Ants Extermination Service projects into broad ranges so you can see how smaller, mid-sized, and larger jobs often compare in Sachse, TX.

In many markets, a large share of routine jobs stays in the lower and middle ranges, while only a smaller percentage of projects moves into the highest bands when the work is more complex or site conditions are harder than average.

Initial Inspection - The cost for an ant extermination inspection typically ranges from $50 to $150. This fee covers a thorough assessment of the property to identify ant activity and entry points.

One-Time Treatment - A single treatment service usually costs between $100 and $300. The price depends on the size of the affected area and the severity of the infestation.

Ongoing Prevention - Monthly or quarterly prevention plans can range from $30 to $80 per visit. These services help maintain ant control and prevent future invasions.

Property Size Impact - Larger properties or commercial spaces may incur costs from $200 to $500 or more for comprehensive ant extermination services. Pricing varies based on the extent of the infestation and property size.

Actual totals will depend on details like access to the work area, the scope of the project, and the materials selected, so use these as general starting points rather than exact figures.

Get an Ants Extermination Service Quote

Ants Extermination - Local pest control providers offer specialized services to eliminate ant infestations and prevent future outbreaks in residential and commercial properties.

Ants Inspection and Identification - Service providers conduct thorough inspections to identify ant species and determine the extent of the infestation for targeted treatment plans.

Ants Baiting and Trapping - Professionals utilize baiting systems and trapping methods to effectively reduce ant populations while minimizing chemical use.

Ants Barrier Treatments - Exterminators apply barrier treatments around structures to create a protective zone against ant entry and re-infestation.

Ants Removal for Commercial Properties - Commercial pest control experts address ant problems in business settings to maintain a safe and hygienic environment.

Ants Prevention Consulting - Service providers offer advice on property modifications and sanitation practices to prevent future ant problems.

Ants Extermination Service

When evaluating ant extermination services, experience can be a key factor in selecting a reputable local contractor. Homeowners are encouraged to consider how long a pest control provider has been serving the community, as well-established companies often bring a history of handling diverse ant infestations effectively. It’s also helpful to review the written expectations provided by the service provider, which should clearly outline treatment methods, safety considerations, and any follow-up procedures to ensure transparency and clarity in the process.

Reputable references are an important aspect of choosing a local ant extermination specialist. Pros with positive feedback from previous clients demonstrate a track record of successful treatments and satisfactory service. Homeowners can request or seek out references or reviews to gauge the quality of work and reliability of the contractor. Additionally, communication plays a vital role; a professional provider should be responsive, willing to answer questions, and able to explain treatment options and procedures in a straightforward manner, fostering confidence and understanding throughout the process.

It is important to remember that this platform introduces homeowners to local professionals and service providers, rather than performing the extermination work directly. By focusing on local options, homeowners can compare various service providers based on their experience, reputation, and communication style. This approach allows for informed decision-making and helps identify a pest control specialist who aligns with specific needs and expectations, ultimately leading to a more successful and satisfactory ant extermination experience.

Get an Ants Extermination Service Quote

Property owners in Sachse, TX use Ants Extermination Service services for practical projects around their homes and businesses. The sections below highlight everyday jobs and straightforward project options.

Ants Extermination Service
Ants Extermination Service

Ants extermination services are often sought by property owners in Sachse, TX when they notice persistent ant activity around their homes or businesses. Common situations include finding trails of ants in kitchens, bathrooms, or along entry points, which can indicate an ongoing infestation. Property owners may look for professional assistance to effectively eliminate the ants and prevent future invasions that can disrupt daily routines or compromise hygiene.

In addition to visible ant colonies, property owners might seek extermination services after experiencing increased ant presence following seasonal changes or construction activities nearby. Ants can invade new areas, especially when food sources or shelter become available, making professional treatment a practical solution. Local service providers can assess the situation and implement targeted methods to address these common, everyday pest concerns.

Get an Ants Extermination Service Quote

How do ant extermination services work? Ant extermination services typically involve inspecting the property, identifying ant species and entry points, and applying targeted treatments to eliminate nests and prevent future infestations.

Are chemical treatments safe for my home and family? Most local ant extermination providers use treatments that are safe when applied correctly; it is recommended to discuss any concerns with the service provider during contact.

How long does an ant extermination treatment take? The duration of treatment varies depending on the extent of the infestation and the methods used, but many services aim to complete the process efficiently to minimize disruption.

Will the ants return after treatment? While treatments can significantly reduce or eliminate existing ant populations, ongoing prevention measures may be recommended to prevent future infestations.

How can I prepare my home for ant extermination? Preparing may include clearing clutter, sealing food items, and following any specific instructions provided by the service provider to ensure effective treatment.

Ants Identification and Prevention - Local pest control providers can help identify ant species and recommend strategies to prevent future infestations.

Professional Ant Extermination - Experienced technicians utilize targeted treatments to eliminate ant colonies effectively.

Ongoing Pest Monitoring - Service providers can set up regular inspections to detect early signs of ant activity and prevent re-infestation.

Customized Pest Management Plans - Local pros develop tailored approaches based on the specific needs of each property.

Ants Extermination Service

Considering Ants Extermination Service for a property in Sachse, TX? The sections above highlight common project types, practical options, and details that often shape the scope of work.

When you are ready, use the quote form to share a few details about your project. Local pros can review the basics and respond with options that match what you have in mind.

Get an Ants Extermination Service Quote

Ants Extermination Quotes

Our Trusted Partners
Cantu Pest Control
Orkin
Hawx Pest Control