Local Service Overview

Get Red Ant Extermination in Frisco, TX

Red Ant Extermination services for property owners in Frisco, TX, address pest infestations like ants, termites, and rodents through comprehensive treatment and prevention projects.

Frisco, TX

Red ant extermination services are often sought by property owners in Frisco, TX to maintain a safe and comfortable living environment. Ant infestations can lead to discomfort, disrupt outdoor activities, and potentially cause structural damage if left unchecked. By addressing these pests promptly, property owners can enjoy peace of mind, knowing their homes and outdoor spaces are protected from unwanted intruders. Effective extermination also helps reduce the likelihood of future invasions, contributing to a more functional and enjoyable property.

Choosing professional ant control services offers several benefits, including enhanced durability of pest management solutions and reduced ongoing maintenance efforts. Proper treatment can improve curb appeal by preventing unsightly ant trails and nests around the property. Additionally, a pest-free environment supports overall safety and comfort, allowing residents to focus on daily activities without concern about ant-related issues. Engaging experienced local service providers ensures that treatments are tailored to the specific needs of properties in Frisco, TX.

Get Red Ant Extermination Quotes

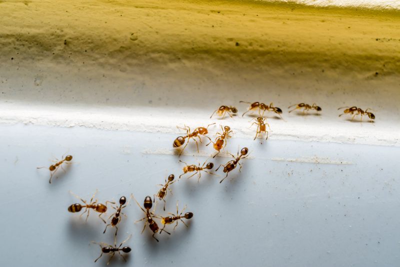
  • Red Ant Extermination services are essential when red ants invade residential or commercial properties in Frisco, TX and surrounding areas.
  • These services are needed when red ant colonies establish themselves indoors or outdoors, causing nuisance or potential damage.
  • Professional extermination is recommended for persistent ant infestations that do-it-yourself methods cannot resolve effectively.
  • Red ant control services are appropriate when new colonies are detected near homes, gardens, or outdoor structures.
  • Contact local pest control providers for assistance with red ant identification and targeted removal solutions.

Get Red Ant Extermination Quotes

Red Ant Extermination
Red Ant Extermination
Red Ant Extermination

Red ant extermination services focus on eliminating red ant infestations from residential and commercial properties. These services typically involve thorough inspections to identify the extent of the ant problem and locate nests. Treatment methods may include applying targeted insecticides around the property’s perimeter, interior, and known nesting sites. In some cases, baiting systems are used to attract and eradicate colonies from within, helping to reduce the likelihood of future invasions.

Red ants can cause significant problems for property owners, including structural damage, especially if they establish nests within walls or foundations. They can also become a nuisance by invading kitchens, pantries, and outdoor living areas, contaminating food and creating unsanitary conditions. Additionally, red ant bites can cause discomfort and allergic reactions in some individuals. Exterminating these ants promptly helps prevent property damage and reduces the inconvenience and health risks associated with an active infestation.

The service is commonly sought for a variety of property types, including single-family homes, apartment complexes, restaurants, and retail stores. Residential properties often require red ant extermination to maintain a comfortable living environment and protect food storage areas. Commercial properties, especially those involved in food service or hospitality, prioritize pest control to meet health and safety standards and ensure customer satisfaction. Agricultural settings may also utilize these services to prevent red ant populations from affecting crops or farm structures.

Professional extermination providers utilize a range of techniques tailored to the specific needs of each property. They may employ residual insecticides, baiting systems, or integrated pest management strategies to control and prevent red ant colonies. Property owners seeking assistance can contact local pest control specialists to evaluate their situation and determine the most appropriate treatment plan. Properly addressing red ant issues can help maintain a clean, safe, and comfortable environment across various property types.

The overview below groups typical Red Ant Extermination projects into broad ranges so you can see how smaller, mid-sized, and larger jobs often compare in Frisco, TX.

In many markets, a large share of routine jobs stays in the lower and middle ranges, while only a smaller percentage of projects moves into the highest bands when the work is more complex or site conditions are harder than average.

Initial Inspection - The cost for a comprehensive pest inspection typically ranges from $100 to $250, depending on the property size and complexity. For example, a standard residential inspection in Frisco, TX, might be around $150.

Per-Visit Service - Single-visit extermination treatments generally cost between $200 and $400. The price can vary based on the extent of the infestation and the treatment method used.

Monthly Maintenance - Ongoing pest control plans often range from $50 to $100 per month. These plans usually include regular treatments to prevent future infestations.

Specialized Treatments - Treatments for specific pests like termites or bed bugs can cost from $500 to over $1,500. The total depends on the severity of the problem and the size of the affected area.

Actual totals will depend on details like access to the work area, the scope of the project, and the materials selected, so use these as general starting points rather than exact figures.

Get a Red Ant Extermination Quote

Ant Extermination - Local pest control providers offer targeted ant extermination services to eliminate colonies and prevent future infestations in residential and commercial properties.

Termite Control - Service providers in the area specialize in identifying and treating termite issues to protect structures from damage caused by these pests.

Carpenter Ant Removal - Local pros provide effective methods to remove carpenter ants and address any wood damage they may cause within homes and buildings.

Fire Ant Management - Experts offer fire ant control solutions to reduce populations and minimize the risk of painful stings in outdoor and yard areas.

Rodent and Pest Exclusion - Service providers implement exclusion techniques to prevent ants and other pests from entering properties through entry points.

Integrated Pest Management - Local pest control companies utilize comprehensive strategies to manage ant populations while minimizing impact on the environment and property.

Red Ant Extermination

When comparing local pros for Red Ant Extermination services, it’s important to consider their experience in handling ant infestations specific to residential properties in Frisco, TX, and surrounding areas. A reputable service provider will have a history of successfully addressing ant problems similar to those faced by homeowners, demonstrating familiarity with local conditions and ant species common to the region. While experience alone isn’t a sole indicator of quality, it often correlates with a deeper understanding of effective treatment methods and the ability to tailor solutions to individual home environments.

Clear communication of written expectations is another key aspect to evaluate when selecting a local exterminator. Reputable pros should provide detailed information about their treatment processes, what homeowners can expect during and after service, and any necessary follow-up steps. Having transparent, written expectations helps establish trust and ensures that homeowners are well-informed about the scope of work, potential outcomes, and any precautions needed during the treatment process. This clarity can contribute to a smoother experience and better results.

Reputable references and strong communication skills are also vital when choosing a local pest control provider. Pros with positive references from previous clients can offer insights into their professionalism, reliability, and effectiveness. Good communication-whether through prompt responses, clear explanations, or ongoing updates-helps foster confidence and ensures that homeowners feel supported throughout the process. It’s important to remember that the information below connects users with local pros and does not perform the extermination work directly, so reviewing these aspects can help in selecting a trusted service provider for Red Ant Extermination needs.

Get a Red Ant Extermination Quote

Property owners in Frisco, TX use Red Ant Extermination services for practical projects around their homes and businesses. The sections below highlight everyday jobs and straightforward project options.

Red Ant Extermination
Red Ant Extermination

Red ant extermination services are often sought by property owners in Frisco, TX, dealing with persistent ant activity around their homes or commercial properties. Common situations include noticing large colonies forming near foundations, gardens, or outdoor structures, which can lead to infestations inside the building. Property owners may look for professional assistance to effectively eliminate ants and prevent future invasions, especially when DIY methods prove ineffective or temporary.

In addition, residents and business owners might seek red ant control after experiencing bites or seeing increased activity during warmer months. Red ants can pose a nuisance and sometimes a safety concern, prompting property owners to contact local service providers for targeted treatments. Professional exterminators can assess the extent of the problem and implement solutions to manage and reduce red ant populations around residential and commercial properties in the Frisco area.

Get a Red Ant Extermination Quote

What types of pests can Red Ant Extermination services handle? Local pest control providers typically address common pests such as red ants, termites, spiders, roaches, and other household insects.

How do exterminators eliminate red ants? Professionals may use targeted treatments like baits, sprays, or dusts to effectively reduce and control red ant populations around your property.

Are red ant treatments safe for pets and children? Many service providers use treatments designed to be safe when applied according to instructions; it’s best to consult with the local pros about specific safety measures.

How often should red ant treatments be scheduled? The frequency of treatments depends on the severity of the infestation and local conditions; a pest control expert can recommend a suitable schedule.

What steps can I take to prevent red ant infestations? Local extermination services often advise removing food sources, sealing entry points, and maintaining clean surroundings to help prevent future infestations.

Red Ant Extermination Services - Local pest control providers can assess infested areas and develop targeted treatment plans for red ant colonies.

Red Ant Extermination Services - Professionals utilize effective methods to eliminate red ants and prevent future invasions around residential and commercial properties.

Red Ant Extermination Services - Expert exterminators can identify red ant activity signs and recommend integrated pest management strategies.

Red Ant Extermination Services - Contact local service providers to schedule inspections and discuss tailored solutions for red ant issues.

Red Ant Extermination

Considering Red Ant Extermination for a property in Frisco, TX? The sections above highlight common project types, practical options, and details that often shape the scope of work.

When you are ready, use the quote form to share a few details about your project. Local pros can review the basics and respond with options that match what you have in mind.

Get a Red Ant Extermination Quote

Red Ant Extermination Quotes

Our Trusted Partners
Cantu Pest Control
Orkin
Hawx Pest Control
Mosquito Shield