Local Service Overview

Get Ants Extermination Service in Prosper, TX

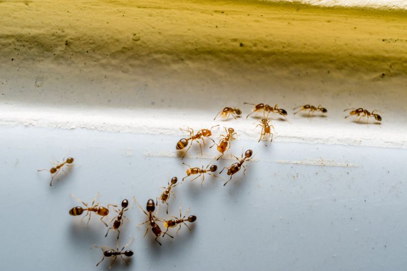
Ants extermination services for property owners in Prosper, TX, address ant infestations, prevent future invasions, and handle residential and commercial pest control projects.

Prosper, TX

Ants extermination services are essential for property owners in Prosper, TX seeking to maintain a safe and comfortable environment. Effective pest control helps prevent ant infestations that can compromise the safety of residents, damage property structures, and create undesirable living conditions. By addressing ant problems promptly, property owners can enjoy a more functional space with reduced disruptions, ensuring that homes and businesses remain inviting and well-maintained.

Choosing professional ant extermination services offers benefits such as enhanced durability of the property’s exterior and interior, as well as improved curb appeal. Regular pest management can reduce ongoing maintenance needs by preventing the buildup of ant colonies and related issues. With the assistance of experienced local service providers, property owners can achieve a pest-free environment that supports long-term comfort and aesthetic appeal.

Get Ants Extermination Service Quotes

  • Ant Infestation Removal - needed when ants invade kitchens, pantries, or other indoor areas in Prosper, TX and nearby regions.
  • Outdoor Ant Control - useful for property owners dealing with ants nesting in lawns, gardens, or around the foundation of homes.
  • Ant Barrier Treatments - appropriate when preventing future ant invasions in residential or commercial properties in Prosper and surrounding areas.
  • Carpenter Ant Extermination - required when signs of wood damage or large ant colonies are present in structures.
  • Ant Prevention Services - suitable for maintaining a pest-free environment after initial ant removal in Prosper, TX and nearby communities.

Get Ants Extermination Service Quotes

Ants Extermination Service
Ants Extermination Service
Ants Extermination Service

Ants extermination services involve identifying and eliminating ant infestations within residential, commercial, or industrial properties. Service providers typically conduct thorough inspections to determine the extent of the problem and locate ant colonies. Treatments may include the application of targeted insecticides, baiting systems, or barrier sprays designed to eradicate ants at their source. The goal is to remove the existing infestation and prevent future outbreaks by addressing the pathways and entry points ants use to access the property.

This service helps resolve common issues associated with ant infestations, such as property damage, contamination of food supplies, and general nuisance. Ants can invade kitchens, pantries, and other areas where food is stored, creating unsanitary conditions. Additionally, some species, like fire ants, pose a risk of painful stings and allergic reactions. Effective extermination reduces these health and safety concerns, while also minimizing property damage caused by certain types of ants that burrow or nest in structural components.

Properties that typically utilize ants extermination services include single-family homes, apartment complexes, restaurants, grocery stores, and warehouses. Residential properties often seek treatment to protect food storage areas and maintain a clean living environment. Commercial establishments, especially those involved in food production or handling, require regular pest control to meet health regulations and ensure customer safety. In some cases, outdoor spaces such as gardens or patios are also treated to control ant populations and prevent them from migrating indoors.

Professional ant extermination services are tailored to the specific needs of each property type and infestation severity. Service providers may recommend ongoing pest management plans for properties prone to recurring ant issues or for those with significant infestations. Contacting local pest control specialists can help property owners and managers find effective solutions to manage and eliminate ant problems, ensuring a pest-free environment.

The overview below groups typical Ants Extermination Service projects into broad ranges so you can see how smaller, mid-sized, and larger jobs often compare in Prosper, TX.

In many markets, a large share of routine jobs stays in the lower and middle ranges, while only a smaller percentage of projects moves into the highest bands when the work is more complex or site conditions are harder than average.

Initial Inspection Cost - Typically ranges from $50 to $150 for a comprehensive inspection of the property to identify ant activity and entry points. Prices may vary based on property size and location within Prosper, TX.

Ant Extermination Treatment - The cost for a standard ant treatment service usually falls between $100 and $300. Larger properties or severe infestations may incur higher fees depending on the treatment complexity.

Follow-Up Services - Follow-up visits to ensure ant control can range from $50 to $150 per session. The need for multiple visits depends on the severity of the infestation and the treatment method used.

Whole-Property Pest Control - Complete pest control packages for ant extermination typically cost between $200 and $500. These packages often include initial treatment and scheduled follow-ups for ongoing protection.

Actual totals will depend on details like access to the work area, the scope of the project, and the materials selected, so use these as general starting points rather than exact figures.

Get an Ants Extermination Service Quote

Ants Extermination services connect homeowners with local pest control providers experienced in eliminating ant infestations effectively and safely.

Residential Ants Control providers specialize in treating homes to remove existing ant colonies and prevent future invasions, ensuring a pest-free living environment.

Commercial Ants Management services assist businesses in maintaining pest-free premises by implementing targeted ant control solutions tailored to commercial properties.

Ants Inspection Services professionals conduct thorough inspections to identify ant activity, nesting sites, and entry points to inform effective treatment strategies.

Eco-friendly Ants Treatments options are available through local providers who use environmentally conscious methods to control ant populations.

Preventative Ants Treatments services focus on applying barriers and treatments that reduce the likelihood of future ant invasions around residential and commercial properties.

Ants Extermination Service

When evaluating ants extermination services in the Prosper, TX area, it’s important to consider the experience of the local professionals. Many service providers have extensive backgrounds in pest control, with years of working on ant infestations and related issues. A well-established local contractor can often provide a clearer picture of their expertise through detailed descriptions of their past projects, which can help homeowners gauge their familiarity with the specific challenges posed by ants in the region.

Clear communication and written expectations are key when selecting a pest control provider. Reputable local pros typically outline the scope of their services, including methods used and any necessary follow-up treatments, in written documentation. This transparency helps ensure homeowners understand what to expect and can compare different providers effectively. Additionally, good communication channels facilitate easy contact for questions or concerns, contributing to a smoother service experience.

Reputable references and a solid reputation within the community are valuable indicators of a trustworthy ants extermination service. Local professionals often have established relationships with satisfied clients and can provide references upon request. It’s beneficial for homeowners to seek out providers with positive feedback from others in the Prosper area, as this can offer insight into their reliability and quality of work. Remember, the site introduces local options but does not perform the work itself, so contacting multiple providers to compare their credentials and communication style is recommended.

Get an Ants Extermination Service Quote

Property owners in Prosper, TX use Ants Extermination Service services for practical projects around their homes and businesses. The sections below highlight everyday jobs and straightforward project options.

Ants Extermination Service
Ants Extermination Service

Ants Extermination Services are often sought by property owners in Prosper, TX, dealing with common household or commercial pest issues. Ants can invade kitchens, pantries, and outdoor spaces, creating nuisances and potential health concerns. Property owners may look for professional assistance to effectively eliminate ant colonies and prevent future infestations, especially when DIY methods prove ineffective or temporary.

In addition to kitchens and living areas, ant activity can impact lawns, gardens, and building foundations. Property owners might seek expert services to address these situations, ensuring that ant problems do not lead to structural damage or attract other pests. Local service providers offer targeted solutions to help maintain a pest-free environment in residential and commercial properties throughout Prosper.

Get an Ants Extermination Service Quote

How do ant extermination services work? Ant extermination services typically involve inspecting the affected area, identifying ant species and entry points, and applying targeted treatments to eliminate colonies and prevent future infestations.

Are the treatments safe for pets and children? Many ant extermination methods are designed to be safe for households, but it is recommended to discuss specific concerns with local service providers to ensure safety during and after treatment.

How long does an ant extermination treatment last? The duration of effectiveness varies based on the treatment type and extent of infestation; local pros can provide guidance on maintenance and follow-up options.

Can ant extermination services prevent future infestations? Yes, professional treatments often include recommendations for ongoing prevention to reduce the likelihood of ants returning.

Is it necessary to prepare my home before treatment? Some preparation may be advised, such as cleaning and removing food sources, but specific instructions can be provided by local service providers during consultation.

Ants Extermination Solutions - Local service providers offer targeted treatments to eliminate ant colonies and prevent future infestations.

Inspection and Identification - Pros can assess property conditions to identify ant entry points and nesting areas for effective treatment plans.

Preventive Measures - Experts recommend ongoing strategies to reduce attractants and seal entry points, helping to keep ants out long-term.

Customized Treatment Plans - Service providers develop tailored approaches based on the specific ant species and severity of the infestation.

Ants Extermination Service

Considering Ants Extermination Service for a property in Prosper, TX? The sections above highlight common project types, practical options, and details that often shape the scope of work.

When you are ready, use the quote form to share a few details about your project. Local pros can review the basics and respond with options that match what you have in mind.

Get an Ants Extermination Service Quote

Ants Extermination Quotes

Our Trusted Partners
Cantu Pest Control
Orkin
Hawx Pest Control