Local Service Overview

Get Ants Extermination Service in Bedford, TX

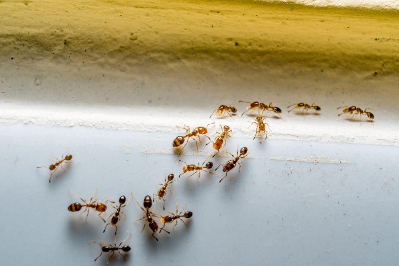
Ants extermination services for Bedford, TX, and nearby areas address ant infestations, eliminate nests, and prevent future invasions for residential and commercial properties.

Bedford, TX

Ants extermination services in Bedford, TX provide property owners with effective solutions to manage and eliminate ant infestations. These services help maintain a comfortable living environment by preventing ants from invading homes and commercial spaces, which can cause discomfort and disrupt daily routines. Additionally, professional extermination promotes safety by reducing the risk of ant-related allergies and potential contamination of food and surfaces, contributing to a healthier environment for residents and visitors alike.

Choosing expert ant control also enhances the functionality and durability of a property. Regular treatments can prevent structural damage caused by certain ant species and minimize the need for ongoing maintenance. Furthermore, a well-maintained exterior free of ant activity boosts curb appeal, helping properties look their best and retain value. Engaging local service providers ensures tailored approaches that address specific ant issues effectively, offering peace of mind and long-term benefits for property owners in Bedford.

Get Ants Extermination Service Quotes

  • Ants Extermination - Needed when ants invade kitchens, pantries, or other indoor spaces in Bedford, TX and surrounding areas.
  • Ants Prevention - Important for homeowners seeking to stop ant infestations before they begin in residential properties.
  • Ants Inspection - Recommended when signs of ant activity are detected around the foundation or near entry points.
  • Ants Control - Necessary for eliminating large colonies that threaten indoor comfort and cleanliness.
  • Ants Barrier Treatment - Used to create a protective perimeter around homes to prevent ant entry in nearby neighborhoods.

Get Ants Extermination Service Quotes

Ants Extermination Service
Ants Extermination Service
Ants Extermination Service

Ants extermination services involve the identification and removal of ant colonies that invade residential or commercial properties. Service providers typically conduct thorough inspections to determine the extent of an infestation and locate nesting sites. Treatment options may include targeted baiting, barrier applications, or other pest control methods designed to eliminate ants at their source. The goal is to reduce or eradicate ant populations, preventing further invasion and damage to property.

These services help resolve common problems associated with ant infestations, such as property damage, contamination of food supplies, and nuisance issues. Ants can be persistent pests that quickly multiply, making early intervention important. Professional exterminators employ strategies to effectively control different species of ants, including sugar ants, fire ants, and carpenter ants, ensuring that infestations are managed safely and efficiently.

Ant extermination services are often used in a variety of property types, including single-family homes, apartment complexes, and commercial buildings. Residential properties benefit from targeted treatments that protect food storage areas, kitchens, and outdoor spaces. Business establishments, especially those involved in food service or retail, rely on these services to maintain hygiene standards and prevent pest-related disruptions.

Property owners seeking ant extermination can contact local pest control providers to assess their specific needs. These professionals offer customized solutions based on the severity of the infestation and the property’s unique characteristics. Regular inspections and maintenance treatments may also be recommended to prevent future ant problems and ensure a pest-free environment.

The overview below groups typical Ants Extermination Service projects into broad ranges so you can see how smaller, mid-sized, and larger jobs often compare in Bedford, TX.

In many markets, a large share of routine jobs stays in the lower and middle ranges, while only a smaller percentage of projects moves into the highest bands when the work is more complex or site conditions are harder than average.

Initial Inspection - The cost for an ant inspection typically ranges from $50 to $150, depending on the size of the property and complexity. For example, a small home in Bedford might be around $50, while larger properties could be closer to $150.

Localized Treatment - Treating a specific infested area usually costs between $100 and $300. This includes applying targeted ant baits or sprays to eliminate visible colonies.

Whole-Property Treatment - Complete property treatments generally range from $200 to $600, depending on the property size and severity of infestation. Larger homes or extensive ant activity may be on the higher end of this range.

Follow-Up Services - Follow-up treatments or inspections typically cost between $75 and $200. These visits ensure that ant activity has been effectively managed and prevent future infestations.

Actual totals will depend on details like access to the work area, the scope of the project, and the materials selected, so use these as general starting points rather than exact figures.

Get an Ants Extermination Service Quote

Ants Extermination services connect homeowners with local pest control providers specializing in ant removal and prevention strategies to address infestations effectively.

Residential Ant Control options are available to help homeowners eliminate ant colonies within their homes and protect against future invasions.

Commercial Ant Extermination services assist local businesses in managing ant problems to maintain a pest-free environment for employees and customers.

Emergency Ant Removal services provide rapid response options for urgent ant infestations that require immediate attention.

Ant Barrier Treatments involve applying treatments around structures to prevent ants from entering indoor spaces or re-infesting outdoor areas.

Natural and Chemical Solutions are offered by local pros to tailor ant extermination approaches based on the severity and location of the infestation.

Ants Extermination Service

When comparing local providers for ant extermination services, it is important to consider their experience in handling ant infestations within residential settings. Homeowners should look for service providers who have a demonstrated history of successfully managing ant problems, as this can indicate familiarity with common issues and effective treatment methods. Experienced pros are often better equipped to assess the severity of an infestation and recommend appropriate solutions, which can contribute to more effective and lasting results.

Clear communication and well-defined expectations are essential when working with a pest control provider. Reputable local service providers typically offer detailed information about their treatment processes, including what homeowners can expect during and after the service. Transparency regarding procedures, potential follow-up visits, and any necessary preparations can help ensure that homeowners feel informed and comfortable throughout the process.

Reputable references and positive feedback from previous clients can serve as valuable indicators of a provider’s reliability and quality of service. Homeowners are encouraged to seek out local pros with established reputations, which can often be verified through reviews or word-of-mouth recommendations. Additionally, effective communication-such as prompt responses to inquiries and willingness to answer questions-can help foster a positive working relationship and ensure that expectations are aligned before the service begins.

Get an Ants Extermination Service Quote

Property owners in Bedford, TX use Ants Extermination Service services for practical projects around their homes and businesses. The sections below highlight everyday jobs and straightforward project options.

Ants Extermination Service
Ants Extermination Service

Ants extermination services are commonly sought after by property owners in Bedford, TX, when ants become a persistent nuisance inside or around their homes and businesses. Common situations include spotting ant trails in kitchens, bathrooms, or outdoor areas, which can indicate an infestation that needs professional attention. Property owners may also look for assistance if ants are damaging plants or if previous attempts at removal have failed, prompting them to seek expert solutions to eliminate the problem effectively.

In addition to visible ant activity, property owners often request extermination services to prevent potential infestations that could lead to larger issues such as structural damage or contamination of food supplies. Seasonal changes or construction activities can also increase the likelihood of ant invasions, prompting residents and business owners in Bedford to contact local service providers for targeted treatments. These services help maintain a clean and pest-free environment, addressing immediate concerns and reducing the risk of future ant problems.

Get an Ants Extermination Service Quote

How do ant extermination services work? Ant extermination services typically involve identifying the ant species, locating colonies, and applying targeted treatments to eliminate the pests and their nests.

Are ant extermination treatments safe for pets and children? Many professional treatments are designed to be safe when applied properly; it is best to consult with the service provider about specific safety concerns for pets and children.

How long does an ant extermination treatment last? The duration of effectiveness can vary depending on the treatment type and extent of the infestation; local pros can provide guidance based on the situation.

Will I need multiple treatments to control an ant problem? Some ant issues may require more than one treatment to fully eliminate the colony and prevent re-infestation, depending on the severity.

How can I prevent future ant invasions? Preventative measures include sealing entry points, maintaining cleanliness, and consulting with local pros for ongoing pest management strategies.

Ants Extermination Services - Local pest control providers offer targeted solutions to eliminate ant infestations effectively.

Inspection and Identification - Professionals assess the extent of ant activity and identify species to determine the most appropriate treatment approach.

Customized Treatment Plans - Service providers develop tailored strategies using baiting, spraying, or barrier methods to address specific ant problems.

Ongoing Prevention Advice - Experts share recommendations on sanitation and structural repairs to help prevent future ant invasions.

Ants Extermination Service

Considering Ants Extermination Service for a property in Bedford, TX? The sections above highlight common project types, practical options, and details that often shape the scope of work.

When you are ready, use the quote form to share a few details about your project. Local pros can review the basics and respond with options that match what you have in mind.

Get an Ants Extermination Service Quote

Ants Extermination Quotes

Our Trusted Partners
Cantu Pest Control
Orkin
Hawx Pest Control